Topo
Ops, algo deu errado!

Arquivos de mídia para Voucher 387.Correa.PDBFF.PDBFF009350 Histórico
Arquivo de Image ligado à
Licença
CC-BY-NC-SA 4.0
CC-BY-NC-SA 4.0
Marcado com Tags
Localidade
Brasil > Amazonas > Rio Preto da Eva > Fazenda Esteio > Parcela 50ha > Parcela 25ha > Quadrat 280X520 (Parcela)
POINT(-59.787261451349394 -2.4399542702973753) decimal coordinates are the START POINT in footprintWKT geometry (POLYGON)
Bioma Amazônia | Amazonia
Como citar
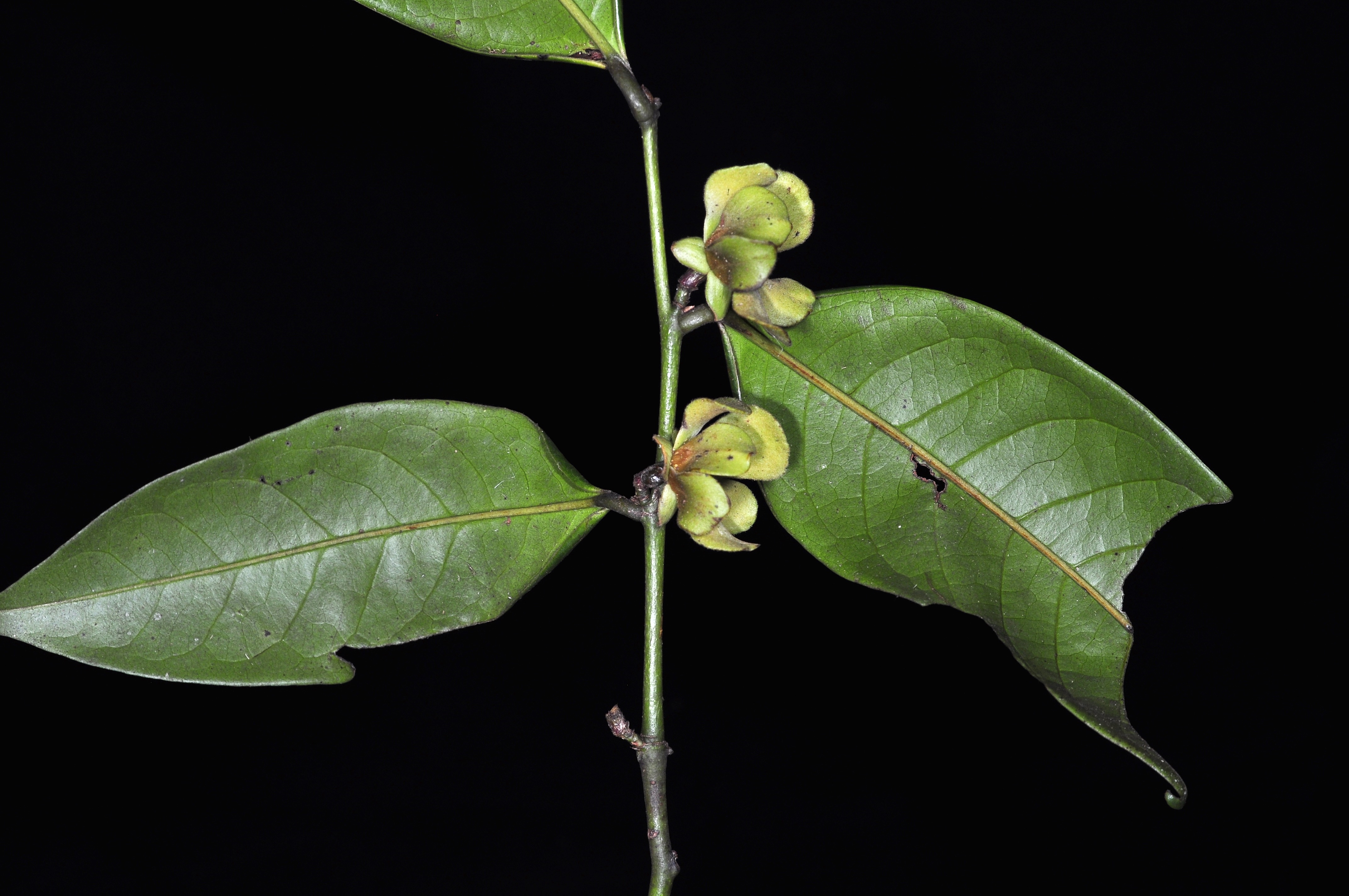
Guatteria punctata (Annonaceae). (2014). By Mario Henrique Terra Araujo and Ana Cristina Segalin de Andrade. Collection: Silva, J.B. da #105721 on 2006-09-27, from Quadrat 280X520, Parcela 25ha, Parcela 50ha, Fazenda Esteio, Rio Preto da Eva, Amazonas, Brasil (PDBFF-009350). Project: PDBFF-Data. Instituto Nacional de Pesquisas da Amazônia (INPA), Manaus, Amazonas, Brasil. Type: Image. License: CC-BY-NC-SA 4.0. uuid: inpa-odb-212a66cc-9661-41e4-9a1d-3bc5a5cb0856, url: https://opendb.inpa.gov.br    BibTeX
@misc{TerraAraujoAndrade_2014_9649,
{
    "title": " Guatteria punctata (Annonaceae)",
    "year": "(2014)",
    "author": "Mario Henrique Terra Araujo and Ana Cristina Segalin de Andrade",
    "howpublished": "{https:\/\/opendb.inpa.gov.br\/media\/uuid\/212a66cc-9661-41e4-9a1d-3bc5a5cb0856}",
    "license": "CC-BY-NC-SA 4.0",
    "note": "Type: Image; Collection: Silva, J.B. da #105721 on 2006-09-27, from Quadrat 280X520, Parcela 25ha, Parcela 50ha, Fazenda Esteio, Rio Preto da Eva, Amazonas, Brasil (PDBFF-009350); Coordinates: POINT(-59.787261451349394 -2.4399542702973753); License: CC-BY-NC-SA 4.0; Project: PDBFF-Data.; Accessed: 2026-04-09",
    "publisher": "Instituto Nacional de Pesquisas da Amazônia (INPA), Manaus, Amazonas, Brasil"
}
}