Topo
Ops, algo deu errado!

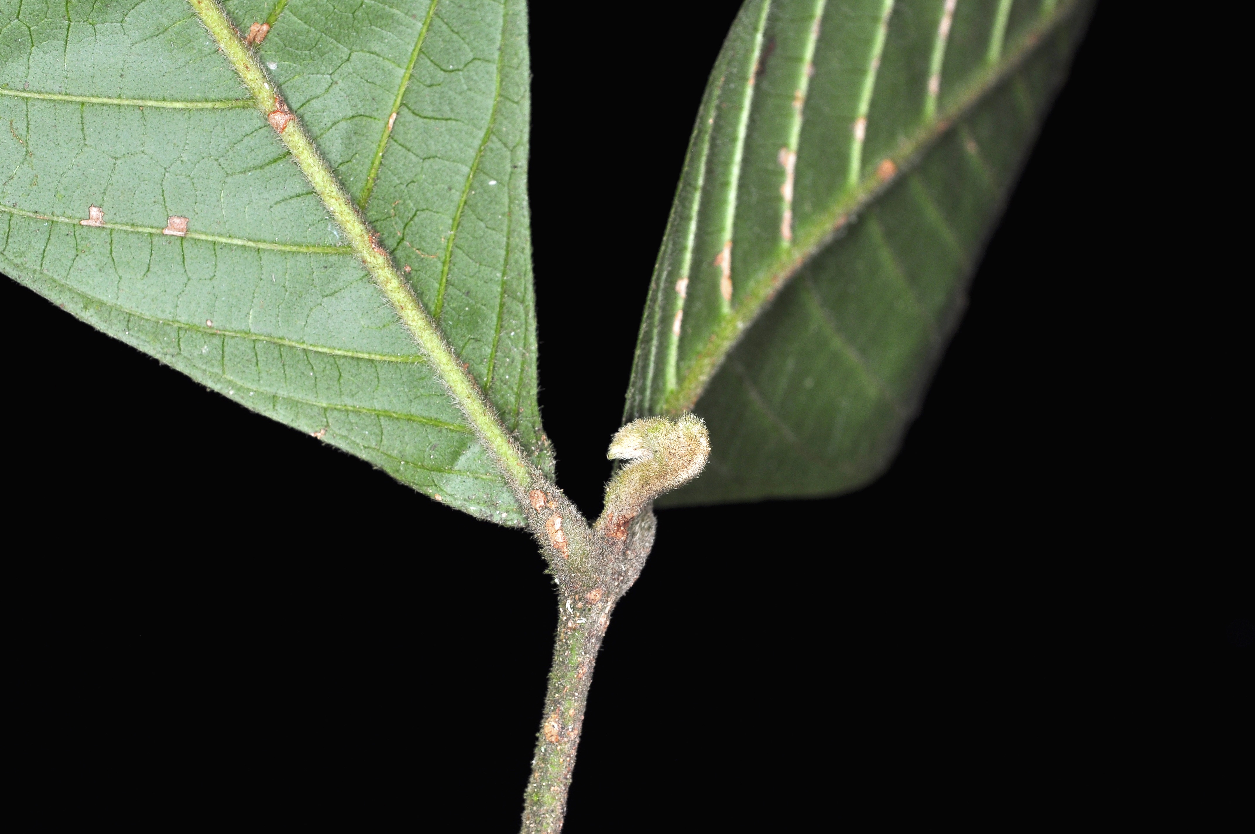
Arquivos de mídia para Voucher 252.Adversi-Silva.PDBFF.PDBFF007925 Histórico
Arquivo de Image ligado à
Licença
CC-BY-NC-SA 4.0
CC-BY-NC-SA 4.0
Marcado com Tags
Localidade
Brasil > Amazonas > Rio Preto da Eva > Fazenda Esteio > Parcela 50ha > Parcela 25ha > Quadrat 400X180 (Parcela)
POINT(-59.78547778022868 -2.442630586162679) decimal coordinates are the START POINT in footprintWKT geometry (POLYGON)
Bioma Amazônia | Amazonia
Como citar
Guarea carinata (Meliaceae). (2014). By Projeto Dinâmica Biológica de Fragmentos Florestais. Collection: Silva, J.B. da #161090 on 2007-01-27, from Quadrat 400X180, Parcela 25ha, Parcela 50ha, Fazenda Esteio, Rio Preto da Eva, Amazonas, Brasil (PDBFF-007925). Project: PDBFF-Data. Instituto Nacional de Pesquisas da Amazônia (INPA), Manaus, Amazonas, Brasil. Type: Image. License: CC-BY-NC-SA 4.0. uuid: inpa-odb-82711b37-0192-4094-a02f-2953d9733a5a, url: https://opendb.inpa.gov.br    BibTeX
@misc{PDBFF_2014_4955,
{
    "title": " Guarea carinata (Meliaceae)",
    "year": "(2014)",
    "author": "Projeto Dinâmica Biológica de Fragmentos Florestais",
    "howpublished": "{https:\/\/opendb.inpa.gov.br\/media\/uuid\/82711b37-0192-4094-a02f-2953d9733a5a}",
    "license": "CC-BY-NC-SA 4.0",
    "note": "Type: Image; Collection: Silva, J.B. da #161090 on 2007-01-27, from Quadrat 400X180, Parcela 25ha, Parcela 50ha, Fazenda Esteio, Rio Preto da Eva, Amazonas, Brasil (PDBFF-007925); Coordinates: POINT(-59.78547778022868 -2.442630586162679); License: CC-BY-NC-SA 4.0; Project: PDBFF-Data.; Accessed: 2026-04-17",
    "publisher": "Instituto Nacional de Pesquisas da Amazônia (INPA), Manaus, Amazonas, Brasil"
}
}